株洲市天元区新马工业园片区04单元部分地块控规修改方案公示
时间:2020-02-14
1. 区位
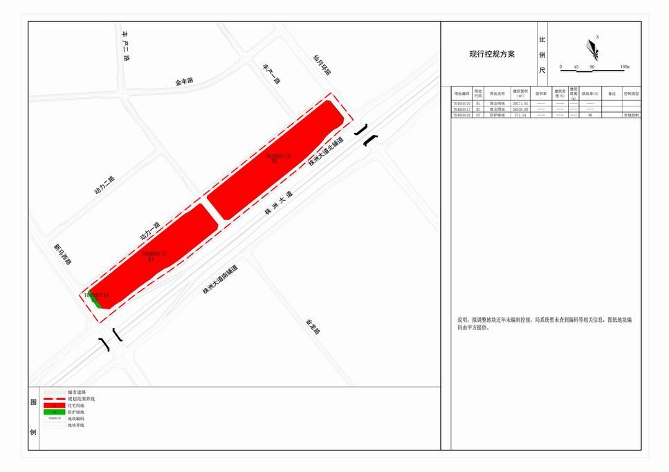
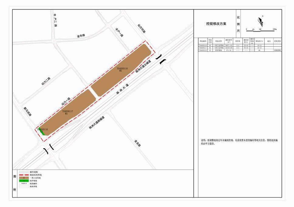
本项目位于株洲市天元区新马工业园内,具体修改范围东起仙月环路、西至新马西路、北起动力一路、南至株洲大道北辅道,总面积为9.69公顷。修改地块位于《株洲市城市总体规划(2006-2020年)》(2017年修订)确定的2020中心城区范围外。
2. 修改理由
(1)为提高土地资源利用率,最大化挖掘土地价值,保障项目可实施操作性。
(2)利于园区招商引资和项目建设,推动经济发展。
3.修改方案
本次规划修改涉及用地性质和控制指标两方面。 将地块T04050110(拟)和地块T04050117(拟)用地性质由商业用地调整为一类工业用地,控制指标参照《湖南省人民政府办公厅关于促进工业地产发展的意见》(湘政办发【2014】96号)执行,容积率≤3.5,建筑密度修改为35%-45%,绿地率修改为10-15%。
4. 修改论证
此次修改是按照国家及株洲市相关规范和技术规定进行调整,现对规划修改的内容及影响总结如下:
(1)考虑到该项目的重要性与特殊性,保证项目实施的可行性,在现行控规的基础上按照相关要求修改了地块的用地性质和控制指标。
(2)本次修改后,单元人口规模不变,对行政办公、教育设施、养老设施等公共服务设施没有影响。
(3)本次修改不涉及道路,修改范围内路网能满足本次修改后的交通需求。
(4)本次修改后给水量、污水量和用电预测负荷量均有减少,对市政基础设施没有影响。
(5)本次修改不涉及五线控制、历史文化保护等内容,对五线控制和历史文化保护没有影响。
5. 结论: 本次修改可行,但后续实际引进项目,应开展项目环评,待项目环评通过后方可实施。


责任编辑: