芦淞区枫溪片区03单元08街坊L06030818地块(人武部地块)控规修改方案公示
时间:2020-02-14
1、区位及现状概况
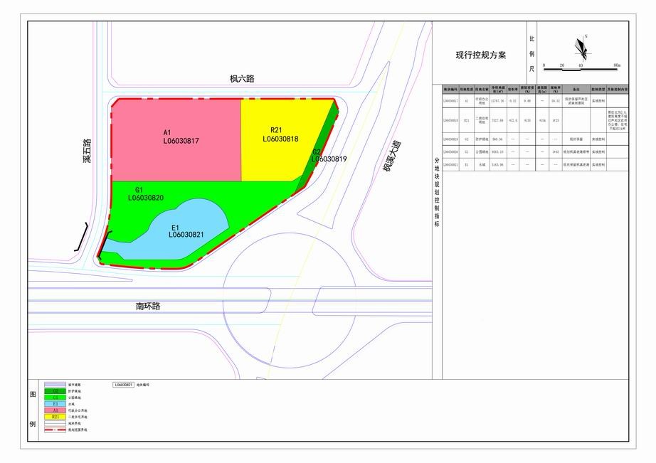
本次拟修改地块位于株洲市芦淞区枫溪生态城片区株洲市芦淞区人武部东侧地块。地块位于芦淞区枫溪大道枫六路交汇处西南角,地块总用地约7747.07平方米(11.62亩),净用地约7524.60平方米(11.29亩),拟修改范围位于《株洲市城市总体规划(2006-2020年)》(2017年修订)2020中心城区范围内。
2019年9月,市政府已经批准将本次拟修改地块的用地性质由商业用地修改为二类住宅用地,指标为:容积率≤2.6;建筑密度≤35%;绿地率≥25%;商住比2:8。

2、修改理由
由于电子商务产业的兴起,对传统零售商业市场造成一定的冲击,城市居住地块内过大的商业比例难以消化,对拟修改地块的商住比例进行合理修改,有利于城市商业的有序发展,避免过大的商业量与有限的消费人群之间的矛盾造成土地开发和项目建设的浪费。
3、修改内容
本次拟将L06030818地块的用地的商业比例修改5%,用地性质由二类住宅用地修改为商住综合用地,其他指标保持不变:容积率≤2.6,建筑密度≤35%,绿地率≥25%,建筑高度控制最大值为54米(且不得高于芦淞区区政府办公大楼)。
4、修改论证
此次控规修改是按照国家及株洲市相关法律法规、标准规范和技术规定进行调整,现对规划修改的影响总结如下:
1)修改后,该修改范围内常住人口增加60余人,周边公服设施能满足本次人口增加需求。
2)本次拟修改内容不涉及道路调整,范围内的原控规路网能满足本次修改后的交通需求。
3)修改后,用地性质和商住比改变,给排水设施需求、电力设施需求减少,原控规规划的市政基础设施可以满足本次修改需求。
结论:本次修改符合国家相关法律、法规、标准、规范及株洲市相关技术规定要求,修改可行。
5、拟修改方案
(1)现行控规

(2)修改方案
![]()

芦淞区枫溪片区03单元08街坊L06030818地块(人武部地块)控规修改方案公示
责任编辑: