天元区栗雨片区03单元03街坊T02030303地块 (第四代建筑项目)控规修改方案公示
时间:2019-09-18
公示说明
《天元区栗雨片区03单元03街坊T02030303地块(第四代建筑项目)控规修改方案》于2019年9月3日通过2019年第四次株洲市城乡规划委员会执行委员会,为提高规划的科学性和民主性,现将该方案予以公示(详细资料请登录株洲市自然资源和规划局网站),请广大市民提出宝贵意见,公示时间为30天(2019年9月18日至2019年10月17日),意见反馈方式:
1、网上留言请登录株洲市自然资源和规划局意见箱:zss22668826@sina.com。
2、传真:0731-28689204,请注明“规划公示意见”字样,并留下相应的联系方式。
3、来信请寄株洲市自然资源和规划局空间规划科,地址:株洲市天元区长江北路369号,邮编:412007,信封上请注明“规划公示意见”。
4、联系人:
玉 智 华 联系电话:0731-22872420
李 伟 联系电话:0731-28685925
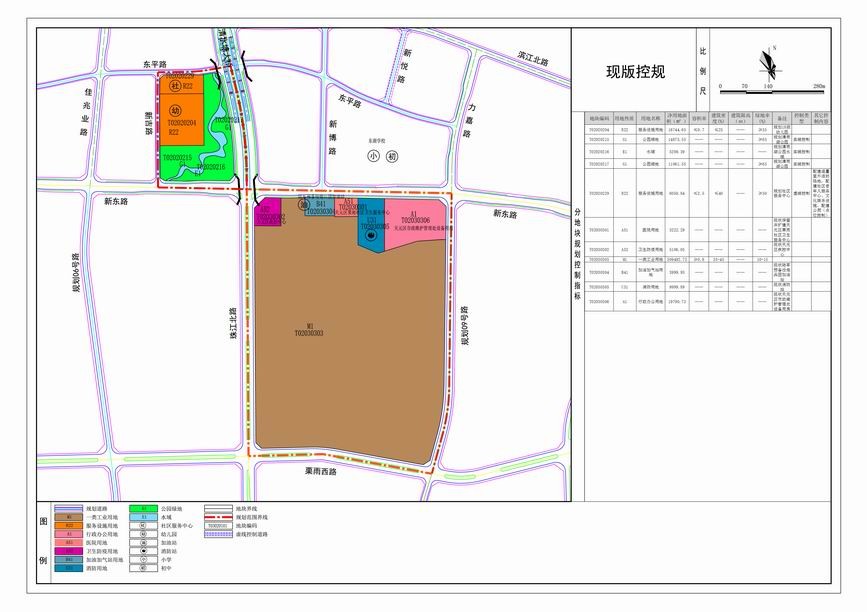
1. 区位及现状
本次拟修改地块涉及株洲市天元区栗雨片区02单元02街坊和03单元03街坊部分地块。02单元02街坊部分地块位于清水塘大桥以西、新东路以北、新东路以南、新吉路以东;03单元03街坊部分地块位于规划09号道路以西、栗雨西路以北、新东路以南、珠江北路以东地块,拟修改范围总面积为46.96公顷。
拟修改范围内现版规划主要为一类工业用地、公服设施用地和绿地。现状主要为一些市政、公服设施和工业企业,如市政维护管理处、卫生服务中心、消防支队、加油站、疾控中心、炎帝生物工程有限公司、株洲欧格瑞传动股份有限公司等。

2. 修改理由
由于工业用地上建第四代绿色住宅将会影响产品后续的对外销售和房屋产权办证,为支持和鼓励绿色住宅项目开发建设,2019年5月,株洲市高新技术产业开发区管理委员会申请将第四代建筑项目一期所在的工业用地变性为住宅用地。
3.修改内容
(1)用地修改
1、依据第四代建筑示范项目报批红线将地块T02030303划分为两块地:地块T02030303-01和地块T02030303-02。地块T02030303-01保留原有的一类工业用地性质不变,地块T02030303-02由一类工业用地修改为二类住宅用地(R21)。
2、由于在03单元内拟修改地块由一类工业用地修改为二类住宅用地,相应增加了中小学、幼儿园等教育设施的需求。02单元02街坊地块T02020204用地性质及控制指标保持不变,规划修改为21班幼儿园,在原有18班幼儿园的基础上增加3个班,用地面积由16744.65平方米修改为18627.13平方米,增加1882.48 平方米,同时修改与地块T02020204相邻的地块T02020215的净用地面积。
(2)指标控制
地块T02030303-02的容积率≤2.6,建筑密度≤22%,绿地率≥ 35%,建筑限高按照2018年第二次株洲市城乡规划委员会执行委员会审议确定的100米,建筑限高≤100m。其他地块的控制指标保持原规划的不变。
4.修改论证
本次修改是按照国家及株洲市相关法律、法规、标准、规范及规定进行调整,现对规划修改的内容及影响总结如下:
(1) 人口论证:本次规划修改后,按照报批总图确定的880户,户均3.5人,人口容量3080人,增加3080人。
(2)公共服务设施论证:本次修改统筹整个片区考虑,原控规规划的中小学教育设施不能满足调整后的人口增加后的配套需求,需在周边考虑中下学教育设施的补充,近期可依靠东湖学校满足就近入学的需求,远期结合周边地块的开发统筹考虑;同时考虑住房空置率等综合因素,拟修改地块需配建3班幼儿园,规划在周边02单元原有规划幼儿园增加3个班,用地面积增加1882.48 平方米。
(3)株洲高新技术开发区(国家级)工业用地论证:本次规划修改后,减少了高新区的工业用地,但周边有新马工业园、自主创业园作为工业地补充。
(4)市政基础设施论证:修改后,给排水设施需求、电力设施需求基本没有变化,现状及规划的市政设施可以满足需求。
结论: 该控规修改原则可行,下一步按照程序完善用地变性调整手续,且需满足环评要求。

修改前规划图

拟修改方案

建成效果图

建成效果图
责任编辑: