《株洲市石峰区轨道城片区04单元04街坊(中车株机社区服务综合体)控规修改论证报告及方案》批后公布
时间:2024-09-04
《株洲市石峰区轨道城片区04单元04街坊(中车株机社区服务综合体)控规修改论证报告及方案》于2024年8月15日经株洲市人民政府批准实施,批复号:株政函2024〔59〕号。现就规划的主要内容公布如下:
调规申请单位:株洲城发城市更新投资建设运营有限公司
2.规划编制单位:株洲市规划测绘设计院有限责任公司
3.所属辖区:填写株洲市石峰区
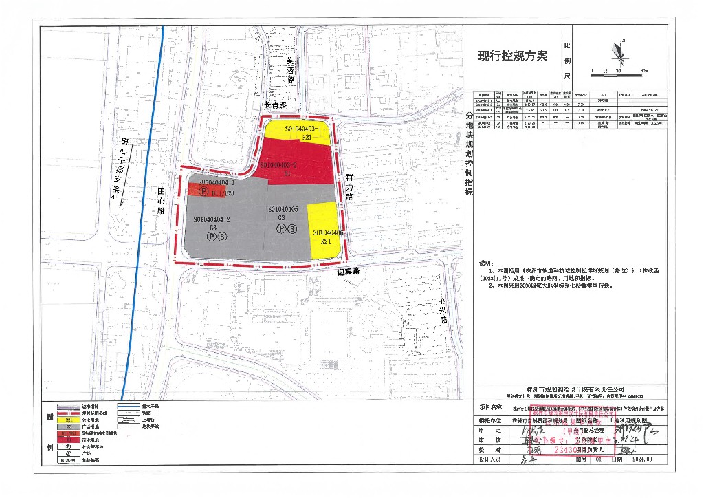
4.用地位置及范围:轨道城片区、04单元、04街坊、S01040404-1、S01040405,北临长青路,东临群力路,南临迎宾路,西临田心路,总用地面积2.70公顷。
5.调整理由:为了改善园区及周边环境,给区域内员工及居民提供更为优质的工作和生活环境,株洲市城发城市更新投资建设运营有限公司申请将广场用地调整为服务设施用地。
6.公布内容:(1)地块S01040404-1依据竣工测量图修正用地界线及面积,用地面积为0.17公顷,用地性质及其他控制指标保持不变,同步修正周边地块用地面积。同时在保持原有停车功能和规模不变的前提下完善社区功能,将地块S01040405用地性质修改为服务设施用地(R22),用地面积为0.52公顷,容积率≤1.0,建筑密度≤70%,建筑限高≤24米,绿地率≥10%,停车位≥120个。
7.附图:


责任编辑: