《株洲市天元区河西中心片区02单元01街坊部分地块(株洲智能信息化档案管理及化石数据保护中心项目)控规修改论证报告及方案》批后公布
时间:2024-08-29
《株洲市天元区河西中心片区02单元01街坊部分地块(株洲智能信息化档案管理及化石数据保护中心项目)控规修改论证报告及方案》于2024年8月15日经株洲市人民政府批准实施,批复号:株政函〔2024〕59号。现就规划的主要内容公布如下:
1.调规申请单位:株洲市国有资产投资控股集团有限公司
2.规划编制单位:株洲市规划测绘设计院有限责任公司
3.所属辖区:株洲市天元区
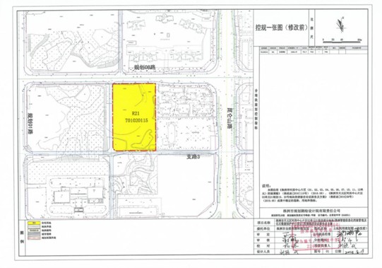
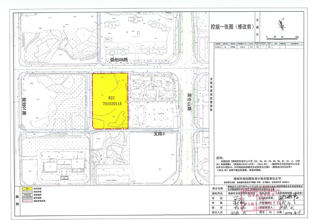
4.用地位置及范围:河西中心片区02单元01街坊,昆仑山路与规划08路交叉口西南侧,用地面积约1.31公顷(约19.7亩)。
5.调整理由:根据株洲市国有资产投资控股集团有限公司向株洲市人民政府提出的《关于调整株洲智能信息化档案管理及化石数据保护中心项目用地规划的请示》(株国投〔2024〕58号)文件,株洲智能信息化档案管理及化石数据保护中心项目已纳入2024年株洲市重点建设项目计划,为确保重点项目顺利落地,申请将地块T01020115用地性质由住宅用地调整为商业服务业设施用地,容积率由2.7调整为2.5,建筑密度由25%调整为45%,绿地率由35%调整为15%。
6.公布内容:将地块T01020115用地性质由住宅用地(R21)修改为商业用地(B1),用地面积为13054.57㎡,容积率≤2.5,建筑密度≤45%,绿地率≥15%,建筑限高≤24米。备注:“项目在实施前应对场地进行详细勘查,明确恐龙遗址的保护范围及利用方案;建筑使用功能为智能信息化档案管理及化石数据保护中心”。
7.附图:


责任编辑: